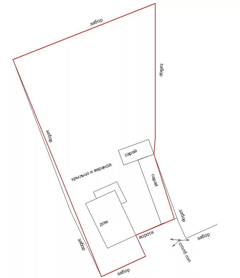
Размеры участка под ижс