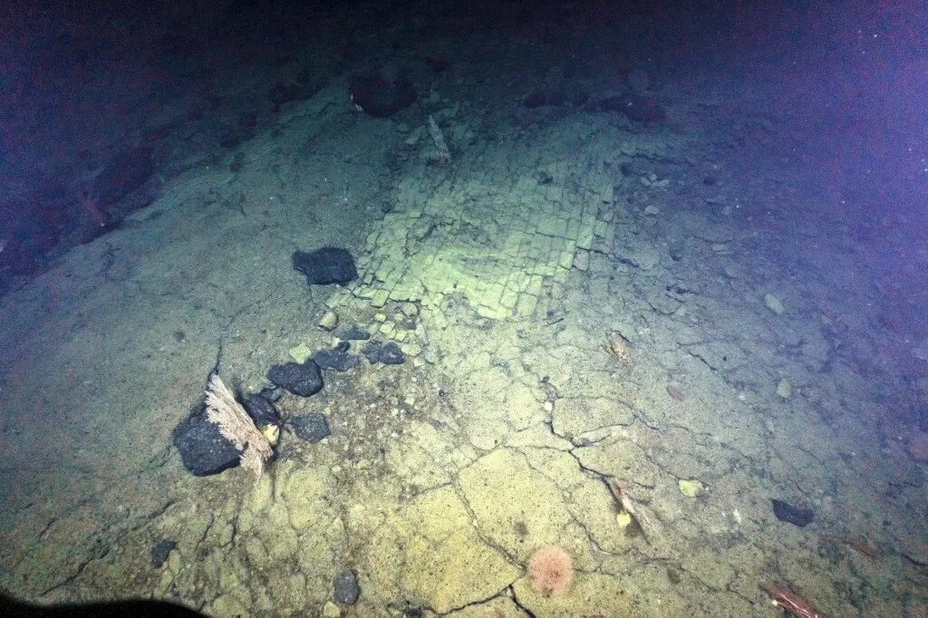
Их нашли на дне моря