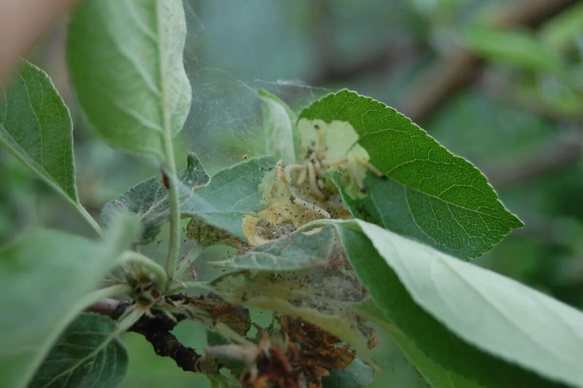
Что происходит в листах яблони ночью